Corrosion on Pcb Inside Valve
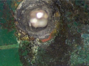
Gideon Analytical Laboratories received two valves with failed printed circuit boards (PCBs) and corrosion inside the housing. The goal was to determine what the corrosion was and why the PCB failed. A printed circuit board mechanically supports and electrically connects electronic components using conductive trace lines, pads and other features etched from copper sheets laminated onto a non-conductive substrate. The boards are made from glass reinforced plastic with copper tracks in the place of wires. Components are fixed in position by drilling holes through the board, locating the components and then soldering them in place. The copper tracks link the components together forming a circuit. PCBs are used in all but the simplest electronic products. They are a quintessential part of the electronics industry. With decades of experience working with PCBs and advanced knowledge in electrical engineering and chemistry, this proved to be a case that was easy to solve.
Within a short time, Gideon Analytical Laboratories diagnosed the cause of this electronic failure. The connectors on the PCB were corroded, as were the pins. There were several areas on the PCB were rings had been left, indicating that there was a substance in that area that had evaporated. There were also cracks in the conformal coating, which is most likely caused by heating and shrinking. There was delamination on the PCB. SEM-EDS analysis was performed to identify what exactly was occurring. In a scanning electron microscope, an electron beam is scanned across a sample’s surface. When the electrons strike the sample, a variety of signals are generated, and it is the detection of specific signals which produces an image or a sample’s elemental composition. The three signals which provide the greatest amount of information in SEM are the secondary electrons, back scattered electrons, and X-rays. Secondary electrons are emitted from the atoms occupying the top surface and produce a readily interpretable image of the surface. The contrast in the image is determined by the sample morphology. A high-resolution image can be obtained because of the small diameter of the primary electron beam. EDS is an analytical technique used for the elemental analysis or chemical characterization of a sample. It relies on an interaction of some source of X-ray excitation and a sample. SEM-EDS analysis yielded some interesting facts. All the elements that were found were indigenous to the inside of the valve casting and the PCB. The cause of this failure was water infiltrating the cavity of the valve, causing corrosion over time, which led to electrical failure.
At Gideon Analytical Laboratories, we have the knowledge and analytical equipment necessary to tackle almost any electrical problem. Try us. What do you have to lose? Anxiety? Frustration? Confusion? We have helped hundreds of companies save millions of dollars. Contact us to find out what we can do for you. Let us help you get your products back up and running the way they should be. Let us give you the peace of mind that comes with having reliable products. Call Gideon Analytical Laboratories today.

Corroded pins

Valve

PCB in valve

Under the plastic casing is corroded

Dark areas on the copper are delaminated

Connectors on PCB were corroded

Liquid worked under the conformal coating

Burned conformal and solder mask

Terminal had eroded copper

SEM of terminal

SEM-EDS of corrosion